Oferta nr HFC-GS-2207

cena 2600000 zł
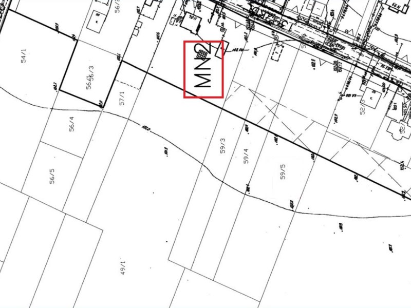
rodzaj Dzialka
typ Sprzedaż
lokalizacja: Stare Babice
powierzchnia 2333.00 m2
Nieruchomość gruntowa (około 65x36m) położona w dynamicznie rozbudowującej się podwarszawskiej gminie Stare Babice, pożądanej przez przyszłych mieszkańców ze względu na swoje niezaprzeczalne walory użytkowe i estetyczne jako wymarzone miejsce do życia w cichej enklawie na obrzeżach Warszawy. Możliwość zakupu większej działki 5 750m2 (160 x 36m) w ramach tej samej nieruchomości w cenie 5 000 000 zł   Najbliższe sąsiedztwo szkół, przedszkoli, żłobków, restauracji, sklepów (w tym min. nowo wybudowanego Parku Handlowego przy ul. Warszawskiej), domu kultury i hali sportowej, MOSiRu, kliniki medycznej, terenów rekreacyjno-sportowych (Fitness Club, LKS Naprzód Zielonki), salonów kosmetycznych, komunikacji miejskiej (719, 729, L-6, L-7) oraz autostrady i południowej obwodnicy Warszawy gwarantują wszystkie atuty mieszkania w dużym mieście, nie zakłócając przy tym spokoju i możliwości obcowania z okoliczną naturą jak choćby Kampinoskim Parkiem Narodowym, Rezerwatem Przyrody Łosiowe Błota. Odległość do granicy Warszawy/Bemowa – 5km, do Centrum Warszawy – 11km, do Południowej Obwodnicy Warszawy/S8/S2/A2 – 4,5km Czas dojazdu autem: 30 min - Centrum Warszawy 20 min - Lotnisko Chopina 10 min - pętla autobusowo-tramwajowa przy ul. Lazurowej/Górczewskiej, w niedalekiej przyszłości - stacja II linii Metra Lazurowa. Nieruchomość jest w pełni uzbrojona we wszystkie miejskie media; - wodę, kanalizację, gaz, prąd, linię telefoniczną w granicy działki przy asfaltowej drodze. Prezentowana nieruchomość gruntowa objęta jest miejscowym planem zagospodarowania przestrzennego gminy Stare Babice. Przeznaczenie  podstawowe:  - zabudowa mieszkaniowa  jednorodzinna  realizowana  w formie budynków wolnostojących lub bliźniaczych - maksymalna wysokość zabudowy – 11,5 m (2 kondygnacje nadziemne oraz kondygnacja poddasza użytkowego) przy zastosowaniu dachów o nachyleniu połaci 20o - 60o, dla dachów płaskich - maksymalna wysokość zabudowy 7,5 m (2 kondygnacje nadziemne) - maksymalna wysokość garaży – 6 m. Proszę o kontakt tylko poważnie zainteresowane osoby! Sprzedaż realizowana BEZPOŚREDNIO przez właściciela, współpracuję z agencjami nieruchomości. Arkadiusz tel. 532278733  

dane agenta J&A
licencja:
532278733
wyślij email

Wyszukiwarka

Mieszkania na sprzedaż

Mieszkania na wynajem

Domy na sprzedaż

Domy na wynajem

Działki na sprzedaż

Działki na wynajem

Lokale na sprzedaż

Lokale na wynajem

Hale na sprzedaż

Hale na wynajem

Obiekty na sprzedaż

Obiekty na wynajem

O firmie

Kontakt

przejdź do pełnej wersji strony
zobacz także
© Home Finance mobile
wykonanie: Aplikacje internetowe Galactica